2016 Cuba: Schnorcheln in La Boca
Bis 7 Uhr schliefen wir heute. Schnorcheln in La Boca stand heute auf dem Programm. Franks ChatSim Card** funktionierte jedoch nicht mehr und Kunden hatten Probleme. Daher ging er bereits früh Morgens zum WiFi-Parque, Probleme lösen. Was es mit der ChatSim Card auf sich hat könnt ihr unter *Nützliche Informationen* lesen.
Nach seiner Rückkehr konnten wir endlich frühstücken. Es gab eine riesige Auswahl an Brötchen, Muffins, anderem Gebäck, so Knoblauchstangen, Wurst, Käse, Marmelade und natürlich Obstteller und Scrambled Eggs.
Wir packten unsere Strandsachen zusammen und machten uns in Trinidad auf die Suche nach Leih-Fahrrädern. Gestern Abend hatte ich auf Maps.Me eine Stelle gefunden wo es Räder geben soll. Da liefen wir einfach mal hin. Und tatsächlich gab es auf dieser Straße die Möglichkeit Räder zu leihen. Der Verleih erfolgt aus der Haustür raus. Wir mussten nur sagen von welcher Casa wir kamen. Ein Pfand mussten wir nicht hinterlegt.
Unbequeme Räder ohne Gepäckträger
Wir bekamen Mountain Bikes, allerdings ohne Gepäckträger. Na, wie soll das den jetzt mit dem Schnorchelkram** funktionieren? Mit Hilfe des Fahrradschlosses band Frank die Sachen an der Stange vom Fahrrad fest. Bei seiner Frage, ob ich nicht zufällig Spanngurte** dabei hätte, wäre ich ihm am liebsten … In Vietnam hatten wir welche dabei, die aber nie gebraucht wurden. Also hatte ich unser Gepäck für Cuba um die Spanngurte geschmälert. Und was hatten wir nun davon? Daher kurze Gedächtnisnotiz für den nächsten Urlaub dieser Art: Spanngurte einpacken.
Sollte Franky während des Urlaubs noch auf die Idee kommen mich nach einer 6-fach Steckdosenleiste** zu fragen, … (gehört sonst mit zu unserem Standard-Urlaubsgepäck).
Schon nach wenigen Metern merkte ich, dass der Sattel und ich keine Freunde werden. Wie schlimm es tatsächlich werden würde, konnte ich zu diesem Zeitpunkt noch nicht erahnen.
Schnorcheln in La Boca
Wir radelten also Richtung Playa (La Boca). Hielten uns dort auf der Hauptstraße Richtung Playa Ancon. Das Dorf La Boca wirkte sehr verschlafen, die Strände waren um diese Uhrzeit noch leer.
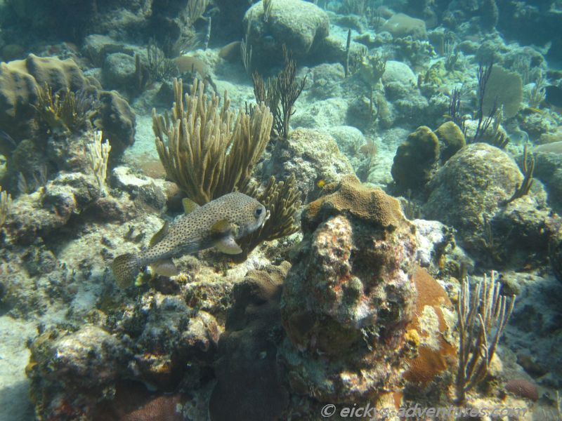
Hinter La Boca hielten wir an einer der ersten Möglichkeiten an, wo ein Trampelpfad Richtung Meer führte. Wir schoben die Räder über die ehemaligen, nun freigelegten Korallenformationen. Noch schnell die Rückseiten eingecremt und ab ins Wasser. Das ging recht unkompliziert. Jede Menge Fächerkorallen, gelbe Röhrenschwämme und ein wenig Fisch (Karlson, Feuerfisch, Trumpetfisch u. a.) waren unter Wasser zu sehen.
Das rauskommen aus dem Wasser war leider etwas anstrengender. Im letzten Urlaub auf Hawaii hatten wir ja schon so unsere Erfahrungen gemacht. Auch diesmal legte ich einen leichten Schleudergang ein. Warum mussten denn auch immer Seeigel dort liegen wo ich raus möchte? Im Gegensatz zu Hawaii schaffte ich es zum Glück ohne Blessuren heraus.
Wir mussten ein ganzes Stück über die trockengelegten Korallenbänke zu unserem „Lager“ zurücklaufen, was gar nicht so einfach war. Gemütlich hinlegen konnten wir uns dort natürlich nicht. Daher setzten wir uns nur kurz in die Sonne und sind dann wieder auf die Straße zurück. Alle paar hundert Meter gab es nun einen, mit Sonnenschirmen ausgestatteten, Strandabschnitt. Ob der Sand dort extra hin gekarrt wurde? Wir wollten aber nicht nur an einer Stelle bleiben und jedes Mal Geld bezahlen wenn wir „umziehen“ wollten wir auch nicht.
Wild schnorcheln nicht möglich
Also versuchten wir wieder zu einem wilden Strand zu gelangen. Diesmal so wild, dass wir noch niemals einen Trampelpfad hatten. Mit den Rädern gingen wir durchs Gestrüpp. Wir stellten die Räder ab und wollten ins Wasser. Anscheinend waren hier sonst Fischer. Zumindest ließen die Fischreste darauf schließen. Wir fanden allerdings keinen guten Einstieg und wenn wir schon nicht gut reinkommen, dann kommen wir auch nicht gut raus.
Während wir noch die Lage sondierten, hat uns ein einheimischer Radfahrer darauf hingewiesen, dass wir dort nicht ins Wasser dürfen. Leicht angenervt gingen wir erstmal zu den Rädern zurück und ich schmollte etwas. Als ich wieder „klar“ war, gingen wir zur Straße zurück. Dabei war Frank im Gestrüpp auf Dornen getreten und ich hatte auch welche in der Sohle, was ich aber gar nicht gemerkt hätte, wenn Frank nichts von seinen Dornen gesagt hätte.
Nach wenigen Metern stellt Frank dann fest, dass sein Hinterrad platt war. Jetzt hatten wir wohl so richtig gewonnen! Ein Dorn steckte sichtbar im Reifen.
Die ersten Leute die uns über den Weg fuhren waren zwei Fischer, die leider keine Pumpe dabei hatten. Danach kam uns eine Familie auf ihren eigenen Bikes entgegen. Natürlich hatten sie eine Pumpe dabei. Unsere Rettung? Leider nein, denn die Luft hielt nicht mehr. Sie boten uns an den Reifen zu flicken. Wie nett! Auf dem Weg zum Schattenplatz sagte dann noch ein Einheimischer, dass am Strand Flickzeug** wäre. Aber da hatten wir ja schon von der Bicycling Family Hilfe angeboten bekommen.
Reifen flicken am Straßenrand
Frank entmantelte den Reifen. Das Loch war schnell gefunden. Alles wieder zusammengebaut. Die Luft entwich immer noch. Wieder entmantel und auf der Rückseite nachgesehen, ob der Schlauch durch war, nö, war er nicht. In der Zwischenzeit hielt noch ein Auto mit Bekannten der Family an. Die hatten dann einem von dem Restaurant Grill Caribe vor deren Tür wir quasi standen gesagt, dass er mal gucken soll. Und siehe da: neben dem einen Loch was wir schon geflickt hatten war noch ein Zweites. Das war vermutlich beim Schieben entstanden. Als das 2. Loch mit dem Klebestreifen abgedichtet und alles wieder zusammengebaut war, blieb die Luft drin. Der helfende Kubaner frug noch niemals nach Geld und war schneller verschwunden als wir gucken konnten. Die Family wollte weder Erfrischungsgetränke noch Geld für die Moneyboxes. Wir bedankten uns ganz herzlich. Die Family fuhr nach Playa Ancon weiter und wir fuhren zu einem der offiziellen Strandabschnitte zurück.
Selbstklebende Reifenflick-Pads können wir empfehlen. Ohne langes Warten kann man direkt wieder los radeln. Im nächsten Radfahr-Urlaub haben wir die bestimmt mit dabei.
Kleiner Strandabschnitt in La Boca
Wild parken wollten wir nicht mehr. Für 1 CUC stellten wir die Räder ab. Der Strandabschnitt-Wächter war sehr nett. Er erklärte uns, wo wir am besten ins Wasser kamen und wo lang wir schnorcheln sollten um mehr zu sehen. Wir schnorchelten nach links runter und sahen viele Korallen und auch etwas Fisch. Beim raus kommen aus dem Wasser war der „Wächter“ auch wieder behilflich. In der Sonne ließen wir uns danach trocknen.
Wir hatten ja noch nichts zum Lunch, weil wir gefühlte Stunden mit dem Reifen beschäftigt gewesen waren, dementsprechend hungrig waren wir. Beim Frühstück hatten wir ein bisschen Gebäck mitgenommen und Kekse hatten wir auch noch. Dem Strandwächter brachte ich davon etwas rüber. Ich glaube, er hat sich gefreut.
Irgendwann stellte ich dann noch fest, dass meine Vorderseite leicht Lobsterfarbe angenommen hatte. Vorm ersten Schnorcheln hatten wir ja nur die Rückseite eingecremt, aber nicht den Rest. Das war dann bei dem ganzen Loch-im-Reifen-Chaos total untergegangen.
Der Rückweg wurde zur Qual
Gegen 17:15 Uhr machten wir uns auf den Rückweg. Diesmal fuhren wir über die andere Straße, vorbei an dem Abzweig nach Cascilda. Mein Hinterteil wollte eigentlich nicht mehr aufs Rad bzw. auf den Sattel, aber es half leider nichts. Vor Schmerz konnte ich kaum treten, außerdem war der Lenker zu niedrig und nach vorne gebeugt schmerzte es noch mehr. Die ca. 8 km bis Trinidad waren die Hölle! Einzig positiv war, dass es keinen wirklich großen Anstieg gab, dafür ging es aber stetig ganz leicht bergauf, wobei die Cubaner dies als plano = eben bezeichneten. Auf dieser Strecke waren deutlich mehr Autos unterwegs, ist halt die Einflugschneise von Trinidad nach Playa Ancon. Aber es war vom Fahren her okay.
An der Stadtgrenze von Trinidad stiegen wir ab und schoben die Räder. Irgendwas qualmte linkerhand. Aus einer Seitenstraße kam so eine Art Tankfahrzeug gefahren das die Qualmwolke mit sich zog. Da die Feuerwehr aber vorneweg fuhr wird es wohl nichts Schlimmes gewesen sein.
Per Zufall waren wir genau an der Straße auf der das Casa lag Richtung Stadtmitte abgebogen. Frank brachte die Schnorchelsachen aufs Zimmer und wir wir schoben die Räder zurück zum Verleiher. Wir waren fix und fertig! Der Fahrradverleiher wollte wissen ob alles OK ist. Si! Hoffentlich waren wir nicht schon zum Stadtgespräch geworden. Der Mantel war vorher unversehrt, aber er wird ja nicht aus Jux nachsehen.
Auf dem Rückweg zur Casa kauften wir noch Wasser. Die 1,5 Liter Flasche kostete in Trinidad 1,50 CUC. Bisher hatten wir nur 0,70 CUC gezahlt. Dann ging es endlich unter die Dusche.
Sehr gutes Abendessen in der Casa
Gesicht, Arme und Oberschenkel waren leicht rot. Pünktlich zum bestellten Abendessen um 19 Uhr waren wir fertig. Es gab einen super schön angerichteten Vorspeisensalat, Kürbissuppe, Hähnchenfilet mit Kartoffelpü, Karamelltorte. Alles war super lecker! Dazu gab es für mich eine Pina Colada und für Franky Bier. Heute geht es uns essenstechnisch sehr gut!
Wir rollten uns nach oben. Mehr vor Schmerzen als vor vollem Magen. Gegen 21:30 Uhr war Schicht. Das Nachtleben konnte uns heute mal gerne haben.
Nebenbei bemerkt: In dieser Casa benötigen wir erstmals den amerikanischen Reiseadapter. Bisher gab es immer Multi-Steckdosen.
tbc
** Achtung: Bei den Bannern/Produktlinks handelt es sich um sogenannte Provision-Links. Wenn du auf so einen Verweislink klickst und über diesen Link einkaufst, bekommen wir von deinem Einkauf eine Provision. Damit unterstützt du unser Projekt „Allmo“, wofür wir dir sehr danken. Für dich verändert sich der Preis nicht.
„Als Amazon-Partner verdiene ich an qualifizierten Verkäufen.“






